Description
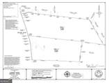
15-acre tract on Kesler Road in Franklin County, offered at $240,000. This newly surveyed and recorded parcel is part of a larger 25-acre property and is zoned AR1 (residential/agricultural), offering flexibility for a private homesite, mini-farm, or future investment. The tract may be subdivided further, per county guidelines. The property features approximately 509 feet of road frontage, rolling topography, and a potential homesite near the road where a driveway could be established. The land will require clearing. Power is available at the road. A well and septic system would be required. No HOA and no known covenants or restrictions. Mobile homes are permitted. RVs and campers may be stored on the property; county regulations require an active building permit for occupancy. A small creek runs along the back corner of the property, while the remainder of the acreage is usable. The land offers year-round flowing spring water, mature white oaks and hardwoods, and abundant wildlife, providing a peaceful, natural setting with privacy and space. A recent survey has been completed and corners are marked. Buyer to verify zoning details, permitted uses, and utility requirements.
-
0BEDS
-
15.28ACRES
-
0BATHS
-
01/2 BATHS
School Information
Description
15-acre tract on Kesler Road in Franklin County, offered at $240,000. This newly surveyed and recorded parcel is part of a larger 25-acre property and is zoned AR1 (residential/agricultural), offering flexibility for a private homesite, mini-farm, or future investment. The tract may be subdivided further, per county guidelines. The property features approximately 509 feet of road frontage, rolling topography, and a potential homesite near the road where a driveway could be established. The land will require clearing. Power is available at the road. A well and septic system would be required. No HOA and no known covenants or restrictions. Mobile homes are permitted. RVs and campers may be stored on the property; county regulations require an active building permit for occupancy. A small creek runs along the back corner of the property, while the remainder of the acreage is usable. The land offers year-round flowing spring water, mature white oaks and hardwoods, and abundant wildlife, providing a peaceful, natural setting with privacy and space. A recent survey has been completed and corners are marked. Buyer to verify zoning details, permitted uses, and utility requirements.
Related Properties
© 2026 Georgia Multiple Listing Service, Inc. All rights reserved. The data relating to real estate for sale or lease on this web site comes in part from GAMLS. Real estate listings held by brokerage firms other than Jon Barnwell Team | RE/MAX Town & Country are marked with the GAMLS logo or an abbreviated logo and detailed information about them includes the name of the listing broker. IDX information is provided exclusively for consumers' personal, non-commercial use and may not be used for any purpose other than to identify prospective properties consumers may be interested in purchasing. Information is deemed reliable but is not guaranteed accurate by GAMLS or Jon Barnwell Team | RE/MAX Town & Country. Data last updated: 2026-03-08T09:09:59.303.