Description
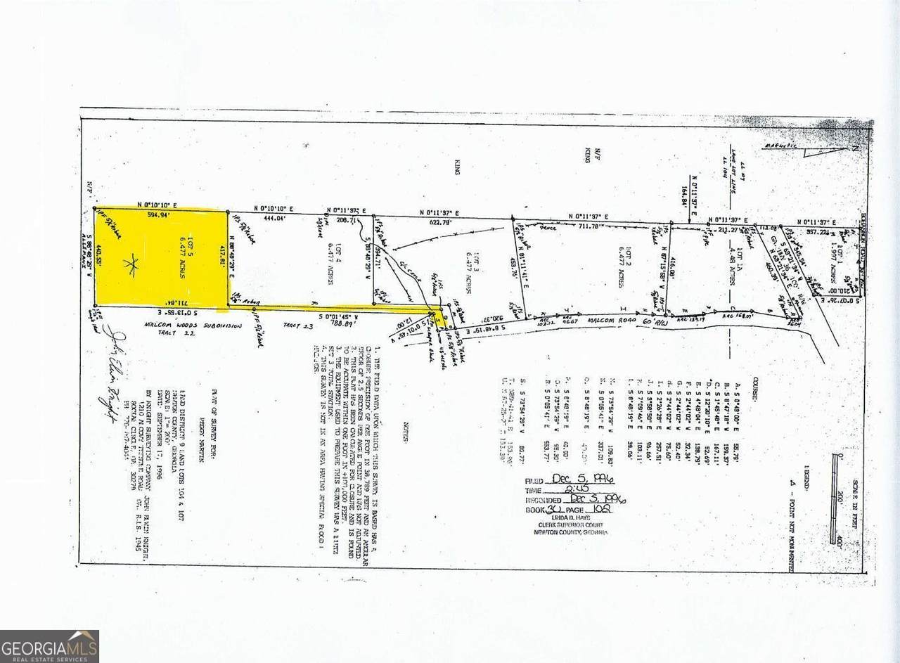
Welcome to this 6.477-acre private homesite near Jackson Lake, featuring exclusive road frontage, previously surveyed (1996) acreage, peaceful wooded surroundings, and flexible potential for a custom home, weekend getaway, or investment property. Located just 8 minutes from Jackson Lake Marina, this secluded property offers the perfect blend of privacy, nature, and convenience. With easy access to Jackson, Covington, I-75, and I-20, plus owner financing available, this is a rare opportunity to own land in a highly desirable area. Tucked away in a quiet natural setting, this property provides the space and privacy many buyers are searching for while still being close to everything. The wooded landscape offers a beautiful backdrop for a future homesite, recreational retreat, or long-term land investment. Outdoor enthusiasts will love being only minutes from Jackson Lake Marina, where boating, fishing, and lake life are easily within reach. Downtown Jackson is just 12 minutes away, while Covington Square is only 25 minutes away, giving you convenient access to restaurants, shopping, and local events. Despite the peaceful rural feel, Atlanta is only about one hour away, making this property ideal for those who want privacy without giving up access to the city. Property Highlights: 6.477 previously surveyed acres Private road frontage Quiet, wooded setting with excellent privacy 8 minutes to Jackson Lake Marina 12 minutes to downtown Jackson 25 minutes to Covington Square Convenient access to I-75 and I-20 Ideal for building, recreation, or long-term investment Owner financing available Back on the market due to buyer being unable to close-priced to move quickly. All property lines shown are approximate. Buyer should verify all information deemed important.
-
0BEDS
-
6.48ACRES
-
0BATHS
-
01/2 BATHS
School Information
Description
Welcome to this 6.477-acre private homesite near Jackson Lake, featuring exclusive road frontage, previously surveyed (1996) acreage, peaceful wooded surroundings, and flexible potential for a custom home, weekend getaway, or investment property. Located just 8 minutes from Jackson Lake Marina, this secluded property offers the perfect blend of privacy, nature, and convenience. With easy access to Jackson, Covington, I-75, and I-20, plus owner financing available, this is a rare opportunity to own land in a highly desirable area. Tucked away in a quiet natural setting, this property provides the space and privacy many buyers are searching for while still being close to everything. The wooded landscape offers a beautiful backdrop for a future homesite, recreational retreat, or long-term land investment. Outdoor enthusiasts will love being only minutes from Jackson Lake Marina, where boating, fishing, and lake life are easily within reach. Downtown Jackson is just 12 minutes away, while Covington Square is only 25 minutes away, giving you convenient access to restaurants, shopping, and local events. Despite the peaceful rural feel, Atlanta is only about one hour away, making this property ideal for those who want privacy without giving up access to the city. Property Highlights: 6.477 previously surveyed acres Private road frontage Quiet, wooded setting with excellent privacy 8 minutes to Jackson Lake Marina 12 minutes to downtown Jackson 25 minutes to Covington Square Convenient access to I-75 and I-20 Ideal for building, recreation, or long-term investment Owner financing available Back on the market due to buyer being unable to close-priced to move quickly. All property lines shown are approximate. Buyer should verify all information deemed important.
© 2026 Georgia Multiple Listing Service, Inc. All rights reserved. The data relating to real estate for sale or lease on this web site comes in part from GAMLS. Real estate listings held by brokerage firms other than Jon Barnwell Team | RE/MAX Town & Country are marked with the GAMLS logo or an abbreviated logo and detailed information about them includes the name of the listing broker. IDX information is provided exclusively for consumers' personal, non-commercial use and may not be used for any purpose other than to identify prospective properties consumers may be interested in purchasing. Information is deemed reliable but is not guaranteed accurate by GAMLS or Jon Barnwell Team | RE/MAX Town & Country. Data last updated: 2026-03-14T00:10:29.99.