Description
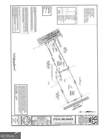
Here is your opportunity to own 2 adjacent lots just one block off Main St in the central historic of Downtown Warm Springs, GA, home of the Little White House, Bulloch House, The Venue at Warm Springs, and in close proximity to other historic sites, Pine Mountain, and Callaway Gardens resort. The lots are adjacent and each have road frontage. Spring St is currently zoned commercial ( Parcel # WS05052) and Green St is zoned residential (Parcel # WS07007), so you could have the opportunity to have a home and business all in one. City water, sewer, and all utilities are available. These lots offer several options including: small office, restaurant, residential, or build to rent. Call today for more information or to schedule an appointment.
-
0BEDS
-
0.88ACRES
-
0BATHS
-
01/2 BATHS
School Information
Description
Here is your opportunity to own 2 adjacent lots just one block off Main St in the central historic of Downtown Warm Springs, GA, home of the Little White House, Bulloch House, The Venue at Warm Springs, and in close proximity to other historic sites, Pine Mountain, and Callaway Gardens resort. The lots are adjacent and each have road frontage. Spring St is currently zoned commercial ( Parcel # WS05052) and Green St is zoned residential (Parcel # WS07007), so you could have the opportunity to have a home and business all in one. City water, sewer, and all utilities are available. These lots offer several options including: small office, restaurant, residential, or build to rent. Call today for more information or to schedule an appointment.
Related Properties
© 2026 Georgia Multiple Listing Service, Inc. All rights reserved. The data relating to real estate for sale or lease on this web site comes in part from GAMLS. Real estate listings held by brokerage firms other than Jon Barnwell Team | RE/MAX Town & Country are marked with the GAMLS logo or an abbreviated logo and detailed information about them includes the name of the listing broker. IDX information is provided exclusively for consumers' personal, non-commercial use and may not be used for any purpose other than to identify prospective properties consumers may be interested in purchasing. Information is deemed reliable but is not guaranteed accurate by GAMLS or Jon Barnwell Team | RE/MAX Town & Country. Data last updated: 2026-03-07T00:09:52.333.