Description
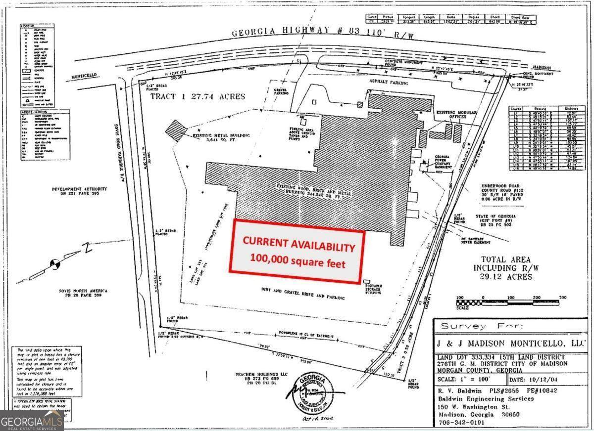
Industrial warehouse space available for lease within 1 mile of Interstate 20 at Exit 113, midway between Atlanta and Augusta. Wellington is situated on 27.51 acres and there is currently 100,000 SF of available warehouse space with 15 loading docks around three sides. Base lease rate of 3.85/sf/year. Landlord will subdivide space. Additional rent due from Tenant for proportionate share of utilities/operating expenses.
-
0BEDS
-
27.51ACRES
-
0BATHS
-
01/2 BATHS
-
100,000SQFT
-
$0$/SQFT
School Ratings & Info
Description
Industrial warehouse space available for lease within 1 mile of Interstate 20 at Exit 113, midway between Atlanta and Augusta. Wellington is situated on 27.51 acres and there is currently 100,000 SF of available warehouse space with 15 loading docks around three sides. Base lease rate of 3.85/sf/year. Landlord will subdivide space. Additional rent due from Tenant for proportionate share of utilities/operating expenses.
© 2026 Georgia Multiple Listing Service, Inc. All rights reserved. The data relating to real estate for sale or lease on this web site comes in part from GAMLS. Real estate listings held by brokerage firms other than Jon Barnwell Team | RE/MAX Town & Country are marked with the GAMLS logo or an abbreviated logo and detailed information about them includes the name of the listing broker. IDX information is provided exclusively for consumers' personal, non-commercial use and may not be used for any purpose other than to identify prospective properties consumers may be interested in purchasing. Information is deemed reliable but is not guaranteed accurate by GAMLS or Jon Barnwell Team | RE/MAX Town & Country. Data last updated: 2026-01-16T19:10:04.363.